Частину вулиці Лук’яна Кобилиці перекриють для транспорту

вівторок, 18 листопада 2025 р. о 10:22
Частину вулиці Лук’яна Кобилиці перекриють для транспорту
city-adm.lviv.ua
вул. Лук’яна Кобилиці

Вулицю перекриють через будівництво нової водопровідної мережі.

Про це повідомила пресслужба Львівської міської ради.

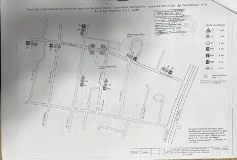
Сьогодні, 18 листопада, вул. Лук’яна Кобилиці буде перекрито для руху приватного транспорту на відрізку від вул. Сонячної до вул. Керамічної через будівництво нової водопровідної мережі на ділянці вулиць Лук’яна Кобилиці – Керамічна.

За інформацією ЛМКП "Львівводоканал" тут заплановано:

– збудувати понад 200 м нової ділянки водопроводу між будинками № 19 на вул. Лук’яна Кобилиці та № 4 на вул. Керамічній;

– облаштувати нові водопровідні колодязі із запірною арматурою та пожежними гідрантами;

– змонтувати підземні труби, провести їх випробування та підключити нову мережу до системи водопостачання.

"Ці роботи дадуть можливість відмовитися від постійної роботи нерентабельної насосної станції на вул. Керамічній, забезпечити будинки району стабільнішим тиском води, меншим ризиком аварій і ефективнішим використанням електроенергії. За попередніми розрахунками це дозволить щороку економити до 200 тис. грн на електроенергії та утриманні обладнання, а зекономлені кошти спрямовувати на заміну зношених мереж. Також тут облаштують можливість забезпечення подачі води мешканцям навіть під час тривалих відключень електроенергії" – наголосили у комунальному підприємстві.

Варіанти - онлайн газета новин Львова. Інший погляд на львівські новини та новини львівщини. Завжди свіжі новини про Львів, про львів'ян і не тільки. Тут новини у Львові оновлюються постійно.

Варіанти © 2012-2026